$2.99 CASE 04-1357 STATUS: UNKNOWN
Book cover
First Documented 1357 AD
Carbon Date 1260–1390
Image Origin Unknown
INVESTIGATE

On the night of 28 May 1898, Italian photographer Secondo Pia developed a glass plate in his darkroom and discovered something that should have been impossible: the faint, blurry image on a medieval linen cloth was itself a photographic negative. The positive face appeared on his negative plate. Whatever had formed the image on the Shroud had done so in a way that photography would not be invented to describe for another five centuries.

Thirty-three scientists spent 120 hours examining every centimetre of the cloth in 1978. Their conclusion: it is not paint, not dye, not any known medium. The image was formed by a process unknown to modern science. After five decades of the most intensive scientific investigation ever applied to a single object, the question remains open.

The Cloth

4.37m

Length of the linen. Width: 1.10 metres. Woven in a 3-over-1 herringbone pattern consistent with first-century manufacture. The cloth bears the front and back impressions of a crucified man approximately 1.75–1.80 metres tall.

Image Depth

200nm

Nanometres — the image penetrates only the outermost surface of the linen threads. One two-hundredth of a human hair. No known medium applied by hand can produce this.

Carbon Date

1325 AD

Median date from 1988 radiocarbon test by Oxford, Zurich, and Arizona labs. Fiercely contested due to disputed sample location.

Blood Type

AB

The rarest major blood type — found in approximately 5% of the global population. Immunochemical tests identify the stains as blood with real serum halos, indicating clotting occurred.

The Evidence

Shroud of Turin positive and negative comparison
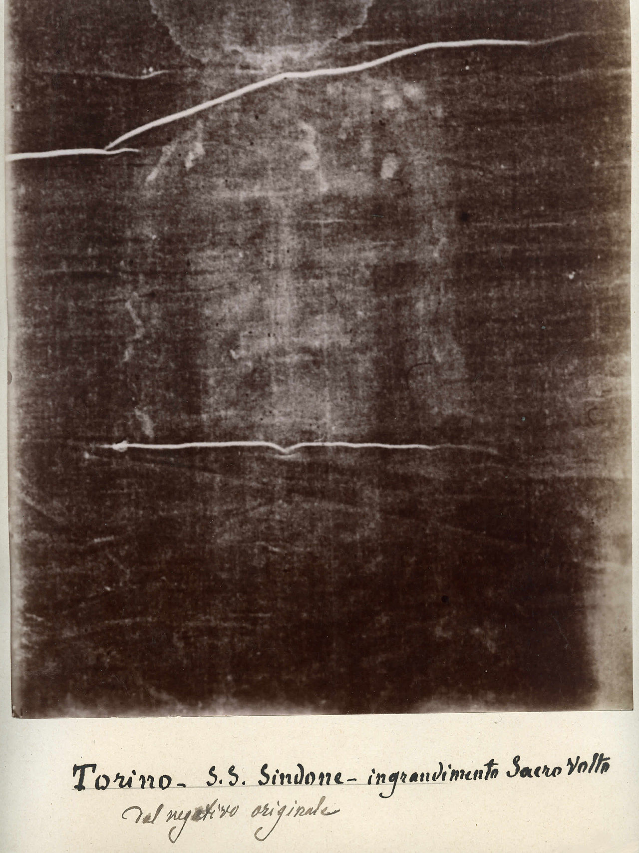
PHOTOGRAPHIC NEGATIVE — 1898

The Negative Image

The Shroud's image is a photographic negative. Under ordinary light, the cloth shows only a faint, brownish impression — barely recognisable. But when photographed and the negative plate developed, a fully formed portrait appears. The tones reverse. The image was formed as a negative centuries before negative photography existed. STURP scientists confirmed this is not a property of any known painting or dyeing technique.

Full length negative images of the Shroud of Turin
VP-8 ANALYSIS — 1976

Three-Dimensional Data

In 1976, USAF scientists John Jackson and Eric Jumper fed photographs of the Shroud into a VP-8 Image Analyzer — a machine designed for lunar surface mapping. Unlike normal photographs, which produce distorted results in a VP-8, the Shroud yielded a mathematically precise three-dimensional relief. The image encodes distance information between cloth and body point by point. No known image-making process produces this property.

The Pray Codex (1192 AD) — Hungarian illuminated manuscript
PRAY CODEX — 1192 AD

The Pray Codex

A Hungarian illuminated prayer manuscript from 1192 AD contains a miniature of Christ's burial that shows a cloth with a distinctive L-shaped pattern of four holes. The exact same four-hole pattern — caused by a thermal event predating the 1532 fire — appears on the Shroud today. If the artist was depicting the Shroud accurately, the cloth existed at least 165 years before its first documented appearance in France in 1357.

Six Centuries of Controversy

1357

First Appearance

The cloth surfaces at Lirey, France, in the hands of Jeanne de Vergy, widow of knight Geoffroi de Charny. Bishop Henri de Poitiers immediately condemns it as fraudulent. No confession document is ever produced.

1532

The Fire

Fire destroys the Sainte-Chapelle at Chambéry. A drop of molten silver burns through the folded cloth, leaving characteristic triangular scorch marks. Poor Clare nuns apply repair patches that would later complicate carbon dating.

1898

Secondo Pia's Discovery

Amateur photographer Secondo Pia makes the first photographs of the Shroud and discovers in his darkroom that the image is a photographic negative. His hands tremble. "I was overcome with emotion," he later writes.

1978

The STURP Examination

33 scientists from the Shroud of Turin Research Project arrive with six tonnes of equipment for 120 hours of analysis. Their conclusion: the image is not paint, not dye, not any known applied medium. The image formation mechanism is unknown.

1988

The Carbon Date

Three independent laboratories announce simultaneous results: the Shroud linen dates to 1260–1390 AD. The headlines declare it a medieval fake. The controversy over the sample location — and whether it was original cloth — begins immediately.

Key Figures

Secondo Pia, Italian photographer
The Discoverer

Secondo Pia

An Italian lawyer and amateur photographer, Pia was granted permission to photograph the Shroud in 1898. When he developed his negative plates, he became the first person to see the full portrait hidden in the cloth's image — a positive face appearing where the negative should have been. His discovery launched a century of scientific investigation.

The Holy Face from the Shroud of Turin (1909)
The Subject

The Man in the Shroud

A male, approximately 1.75–1.80 metres tall, with blood type AB. The wounds correspond with Roman crucifixion: nail marks through the wrists (not the palms), scourge marks consistent with a Roman flagrum, a cap of thorns rather than a circlet, and a spear wound in the side. The wounds reflect first-century execution knowledge that no medieval European artist is known to have possessed.

The Shroud of Turin — positive and negative comparison in colour
Positive and negative comparison. The question remains open.

Nobody Knows

After more than a century of scientific investigation, the Shroud of Turin remains unanswered. The image is not paint. The three-dimensional encoding is unexplained. The blood is real. The carbon date is contested. The pollen is from the Levant.

If it is a forgery, it was made by a craftsman with knowledge of Roman execution methods, photographic optics, forensic botany, and textile science — five centuries before any of those disciplines existed.

The cloth is a test. It tests our methods. And it still has no answer.

Get the Full Book

The complete story of the photograph, the fire, the scientists, the carbon date — and the question that has no answer.